U gebruikt een verouderde internetbrowser.
We raden u aan om de meest recente internetbrowser te installeren voor de beste weergave van deze website.
Een internetbrowser die up to date is, staat ook garant voor veilig surfen.

Helaas, dit pand is verkocht

8340 Moerkerke

Omschrijving

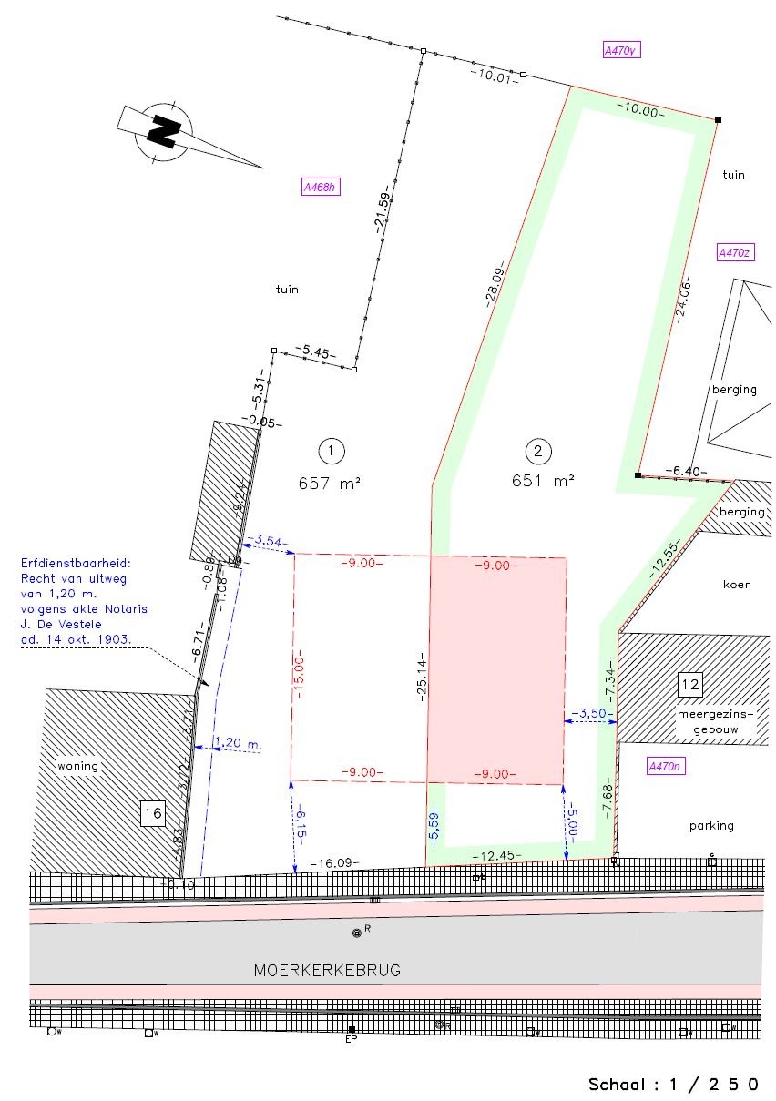
Perceel bouwgrond met diepe tuin - zongericht

Het betreft hier lot 2 in een goedgekeurde kleinschalige verkaveling (2 loten).
Lot 2 is vergund voor het oprichten van een ruime halfopen woning, met een gevelbreedte van 9 meter en een diepte van 15 meter! Twee volwaardige bouwlagen zijn toegelaten!

Dit perceel heeft een oppervlakte van 651m² en is zongericht .
Vanop dit perceel kunt u genieten van een open zicht naar de achterliggende tuinen!

Ondanks het groene karakter van deze verkaveling zijn alle voorzieningen (winkels, scholen, ontspanningsmogelijkheden, ...) op wandel- en fietsafstand te bereiken (centrum Moerkerke).

Dus bent u op zoek naar een ruim perceel voor uw droomhuis te bouwen in het rustige en landelijke Moerkerke, dan is deze bouwgrond zeker iets voor u!

Het is ook een goede uitvalbasis woon-werkverkeer, 10min. rijden naar Brugge, Knokke, Maldegem of Beernem!

De vraagprijs is exclusief kosten.


Niet gevonden wat u zocht? Schrijf u dan vrijblijvend in op onze nieuwsbrief en blijf op de hoogte van ons recentste aanbod.
Schrijf u in
Terug naar boven
Sluit menu Vanpoucke vastgoed